News Flash Home
The original item was published from 5/22/2018 3:13:00 PM to 5/23/2019 12:00:02 AM.

News Flash

City of Savannah Marketing and Communications

Posted on: May 22, 2018

[ARCHIVED] Mills B. Lane Blvd. Bridge to Close for Maintenance

Office of Public Communications

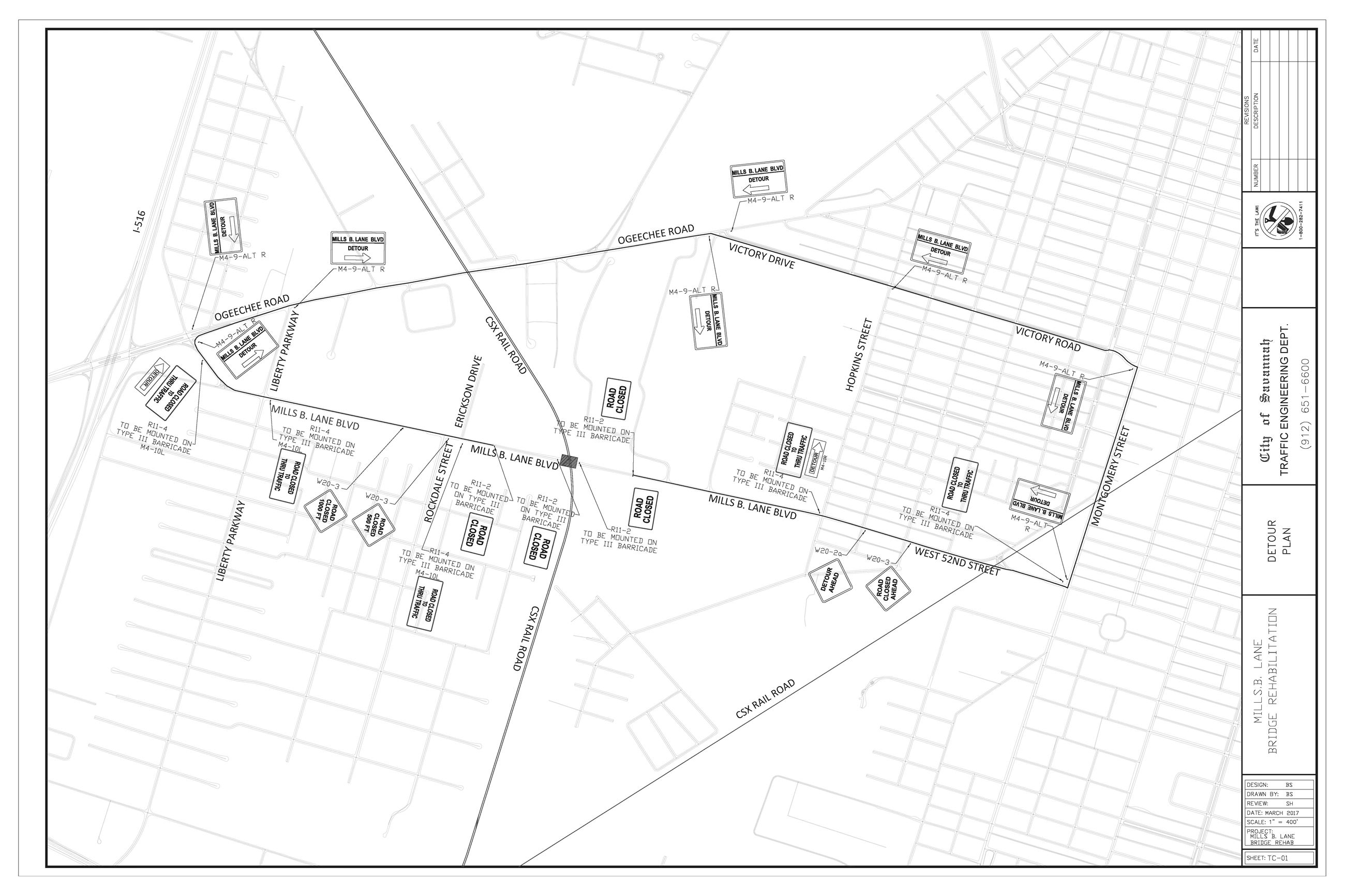
TRAFFIC ADVISORY

May 22, 2018

For Immediate Release

Mills B. Lane Blvd. Bridge to Close for Maintenance

SAVANNAH, GA (May 22, 2018) — The City of Savannah will be closing the bridge on Mills B. Lane Boulevard for scheduled maintenance and rehabilitation beginning Monday, June 4. The duration of the project is expected to last 68 days.

Mills B. Lane Boulevard will be closed to thru traffic at the railroad overpass bridge between Erickson Drive and Ross Road from June 4 to August 11. The traffic detour plan will utilize Ogeechee Road, Victory Drive, and Montgomery Street for east/west traffic. Local traffic will be allowed to approach up to approximately 50 feet from each bridge.


Mills B Lane Bridge Detour

Facebook Twitter Email

Other News in City of Savannah Marketing and Communications

MLK Map

MLK Day Parade to Impact Traffic

Posted on: January 16, 2026
Holiday Extravaganza

City to Host Holiday Safety Extravaganza

Posted on: December 15, 2025
Untitled (500 x 500 px) (2)

Savannah City Council Approves 2026 Budget

Posted on: December 11, 2025 | Last Modified on: December 11, 2025
Document (45)

City Offices to Close in Observance of Thanksgiving Holiday

Posted on: November 26, 2025 | Last Modified on: November 26, 2025
FoodBox_web

City Partners with Second Harvest to Distribute 1,400 Food Boxes

Posted on: November 11, 2025 | Last Modified on: November 11, 2025
Flowbird

City of Savannah Launches New Option for Mobile Parking Payments

Posted on: November 4, 2025 | Last Modified on: November 4, 2025
IceSkating

LACE UP SAVANNAH! Public Ice-Skating Sessions Begin at Enmarket Arena Nov. 7

Posted on: October 29, 2025 | Last Modified on: November 4, 2025
LIndaWB_Web

Alderwoman Linda Wilder-Bryan to Host ‘Innovate With Us’ Event

Posted on: October 14, 2025 | Last Modified on: October 14, 2025
Fountain_Sept.16

Forsyth Park Fountain Returns to Savannah

Posted on: September 9, 2025
Parking Matters Web Promo

City to Host Parking Matters Open House on Sept. 17; Public Survey Launched

Posted on: September 9, 2025 | Last Modified on: September 17, 2025
Street Flooding_Web

City Increases Stormwater, Sewer Maintenance Response Following Excessive August Rainfall

Posted on: September 8, 2025 | Last Modified on: September 16, 2025
Great Cleanup

Registration Open for City of Savannah’s 2025 Great Savannah Fall Community Cleanup

Posted on: September 4, 2025 | Last Modified on: September 3, 2025
MayorVRJ

City Officials Release Joint Statement on Savannah Paper Mill Closure

Posted on: August 21, 2025 | Last Modified on: August 25, 2025
Pothole Patrol Web Promo 450x450 (1)

City Will Launch Pothole Patrol Initiative This Fall

Posted on: August 19, 2025 | Last Modified on: August 19, 2025
Speak Out Savannah Logo

City Invites Residents to ‘Speak Out’ Again on FY26 Budget Priorities

Posted on: August 15, 2025 | Last Modified on: August 15, 2025
Pools

City, Partners to Provide Spaces to Stay Cool, Friday Aug. 1

Posted on: August 1, 2025 | Last Modified on: August 1, 2025
YouthSummit

City of Savannah Invites Area Teens to ‘Oh, The Places You’ll Go’ Youth Summit

Posted on: July 15, 2025 | Last Modified on: July 16, 2025
Levy irrigation

City Recognizes July as Smart Irrigation Month

Posted on: July 10, 2025 | Last Modified on: July 10, 2025
OIP

City Invites Residents to Waterfront Fourth of July Celebrations

Posted on: July 2, 2025 | Last Modified on: July 2, 2025
SPD_web

SPD Obtains Arrest Warrants in Oglethorpe Mall Shooting (Update)

Posted on: July 5, 2025 | Last Modified on: July 7, 2025
HeatIndex0625

City, Partners to Provide Spaces to Stay Cool Wednesday, June 25

Posted on: June 25, 2025 | Last Modified on: June 25, 2025
GPS-Web

City Leaders Host Savannah At Night to Provide Public Update on Draft Strategic Plan

Posted on: June 18, 2025 | Last Modified on: June 23, 2025
JWTR_Web

Mayor Johnson to Lead Second Annual ‘Juneteenth Walk to the River’

Posted on: June 12, 2025 | Last Modified on: June 12, 2025
Bee-City-Main-Logo-for-Web

Savannah Becomes Official Bee City USA

Posted on: June 12, 2025 | Last Modified on: June 27, 2025
100 Days_WEB

City of Savannah to Kickoff 100 Days of Summer on May 23

Posted on: May 14, 2025 | Last Modified on: May 14, 2025
ARCS LOGO

UPDATE: ARCS Reentry Taskforce Welcome Home Celebration Postponed

Posted on: April 22, 2025 | Last Modified on: April 29, 2025
Splash_Web

City to Host Ribbon Cutting for New Tatemville Splashpad

Posted on: March 31, 2025 | Last Modified on: March 31, 2025
Boil Advisory Area

UPDATE: City Lifts Boil Water Advisory Near Ogeechee Rd.

Posted on: March 21, 2025 | Last Modified on: March 24, 2025
SCAD Community Serve

City of Savannah Awarded $972,000 Grant From SCAD Serve Community Fund for Public Safety

Posted on: March 7, 2025 | Last Modified on: March 11, 2025
Savannah and Limerick City

City of Savannah and Limerick City, Ireland Sign Historic Friendship Agreement

Posted on: March 5, 2025 | Last Modified on: March 11, 2025
Savannah, GA

Results For America Awards City of Savannah With What Works Cities Certification

Posted on: March 6, 2025 | Last Modified on: March 11, 2025

Savannah Leaders to Host Ceremony Renaming Savannah Cultural Arts Center

Posted on: February 21, 2025 | Last Modified on: February 21, 2025

City of Savannah to Hold Three Additional Public Hearings With Intent to Opt-Out of HB 581 Homestea

Posted on: February 20, 2025 | Last Modified on: February 20, 2025

UPDATE: Dutch Island No Longer Under Boil Water Advisory

Posted on: February 18, 2025 | Last Modified on: February 20, 2025

Alderman Kurtis Purtee Appointed to National League of Cities Public Safety and Crime Prevention Fe

Posted on: February 18, 2025 | Last Modified on: February 18, 2025

City Offices to Close in Observance of President’s Day

Posted on: February 13, 2025 | Last Modified on: February 13, 2025

City Names Jimmie H. Johnson, IV Director of the Office of Neighborhood Safety and Engagement

Posted on: February 11, 2025 | Last Modified on: February 11, 2025

City to Offer Six-Part Series on Financial Literacy and Wealth Building

Posted on: February 5, 2025 | Last Modified on: February 5, 2025

City Leaders to Break Ground on New Hampstead Public Safety Facility

Posted on: January 31, 2025 | Last Modified on: January 31, 2025

Mayor Van R. Johnson, II Launches Monthly Newsletter

Posted on: January 29, 2025 | Last Modified on: January 29, 2025

City of Savannah Recognized Nationally for Innovative Youth Health Program

Posted on: January 28, 2025 | Last Modified on: January 29, 2025

City to Hold Three Hearings to Opt-out of House Bill 581

Posted on: January 24, 2025 | Last Modified on: January 24, 2025

City Offices to Remain Closed on Friday

Posted on: January 23, 2025

City Continues Response to Winter Storm

Posted on: January 22, 2025

City Offices to Close in Observance of Martin Luther King, Jr. Day

Posted on: January 14, 2025 | Last Modified on: January 14, 2025

City Crews Working to Address Water Line Break on DeRenne Avenue

Posted on: January 12, 2025 | Last Modified on: January 14, 2025

Municipal Archives Accepting Proposals for 2025 Hungry for History Student Showcase

Posted on: January 9, 2025 | Last Modified on: January 9, 2025

Savannah Mayor Van Johnson Elected Second Vice President of National League of Cities

Posted on: January 9, 2025 | Last Modified on: January 9, 2025

City Adds New Temporary Storm Debris Management Site for Recovery Operations

Posted on: December 4, 2024 | Last Modified on: December 4, 2024

Final Storm Debris Collection Routes to Begin Nov. 25

Posted on: November 19, 2024 | Last Modified on: November 25, 2024

TRAFFIC ALERT: East Gwinnett Street Underpass at Broad Closed

Posted on: October 10, 2024 | Last Modified on: November 25, 2024

City to Host Open House for Daffin Park Signature Playground Concept

Posted on: November 14, 2024 | Last Modified on: November 18, 2024

Residents Invited to Annual Trunk or Treat Event, Oct. 18

Posted on: October 14, 2024 | Last Modified on: October 14, 2024

Hurricane Helene News Release #15

Posted on: October 4, 2024

Hurricane Helene News Release #14

Posted on: October 3, 2024

Hurricane Helene News Release #13

Posted on: October 2, 2024

Hurricane Helene News Release #12

Posted on: October 2, 2024

Hurricane Helene News Release #11

Posted on: October 1, 2024

Hurricane Helene News Release #10

Posted on: September 30, 2024

Hurricane Helene News Release #9

Posted on: September 30, 2024

Hurricane Helene News Release #8

Posted on: September 29, 2024

Hurricane Helene News Release #7

Posted on: September 29, 2024

Hurricane Helene News Release #6

Posted on: September 29, 2024 | Last Modified on: September 29, 2024

Hurricane Helene News Release #5

Posted on: September 28, 2024

Hurricane Helene News Release #3

Posted on: September 27, 2024

Hurricane Helene News Release #2

Posted on: September 26, 2024

Hurricane Helene News Release #1

Posted on: September 25, 2024

TRAFFIC ALERT: Whitaker St. Between Oglethorpe, Hull to Close Sept. 16

Posted on: September 13, 2024 | Last Modified on: September 13, 2024

Tropical Storm Debby Update #4 - City to open emergency shelter at Enmarket Arena

Posted on: August 5, 2024 | Last Modified on: August 5, 2024

Tropical Storm Debby Update #1 - City declares state of local emergency

Posted on: August 4, 2024 | Last Modified on: August 5, 2024

TRAFFIC ALERT: Broughton St. Closed from Houston to Habersham

Posted on: July 23, 2024 | Last Modified on: July 30, 2024

City to Host Savannah PM Open House

Posted on: June 25, 2024

Westside residents invited to June 15 ‘Pop-up in the Parks’

Posted on: June 6, 2024 | Last Modified on: June 6, 2024

City Offers Young Residents Multitude of Summer Athletic Opportunities

Posted on: May 23, 2024 | Last Modified on: June 14, 2024

City Invites Residents to Southside Traffic Improvements Open House

Posted on: May 16, 2024 | Last Modified on: June 20, 2024

City to Offer Array of Aquatics and Swimming Pool Activities

Posted on: May 16, 2024 | Last Modified on: May 16, 2024

City to Hold Public Hearing for Housing and Community Development One-Year Action Plan

Posted on: April 29, 2024 | Last Modified on: April 29, 2024

Community-Wide Engagement Sessions to be Held Regarding Future of the Civic Center Site

Posted on: April 16, 2024 | Last Modified on: April 25, 2024

Savannah Youth Council, Youth Ambassador Programs Accepting Applications

Posted on: April 11, 2024 | Last Modified on: April 11, 2024

City to Celebrate New Community Space for Westside Neighborhoods

Posted on: April 6, 2024 | Last Modified on: April 6, 2024

TRAFFIC ALERT: Southbound Lanes on Abercorn Reopened

Posted on: March 29, 2024 | Last Modified on: April 5, 2024

City Names Jimmie H. Johnson, IV Director of the Office of Neighborhood Safety and Engagement

Posted on: February 11, 2025 | Last Modified on: February 11, 2025

Registration Open for 2024 Great Savannah Spring Community Cleanup

Posted on: March 29, 2024 | Last Modified on: March 29, 2024

City of Savannah Selected for Bloomberg American Sustainable Cities

Posted on: March 18, 2024 | Last Modified on: March 18, 2024

Alderman Kurtis Purtee Appointed to Serve on National League of Cities Committee

Posted on: March 11, 2024 | Last Modified on: March 11, 2024

test

Posted on: February 11, 2025